Chủ Nhật, Tháng mười hai 21, 2025
HomeKinh DoanhKhông có El Nino, năm 2025 vẫn nóng thứ 2 lịch sử

Không có El Nino, năm 2025 vẫn nóng thứ 2 lịch sử

Theo báo cáo cập nhật tình trạng khí hậu toàn cầu của WMO vừa công bố, năm 2025 dù không có hiện tượng El Nino và hiện ở trạng thái La Nina nhẹ nhưng nhiệt độ trung bình gần bề mặt từ tháng 1 – 8 cao hơn khoảng 0,12 – 1,42°C so với mức trung bình thời kỳ tiền công nghiệp. Điều này khiến năm 2025 đang trở thành năm nóng thứ 2 lịch sử.

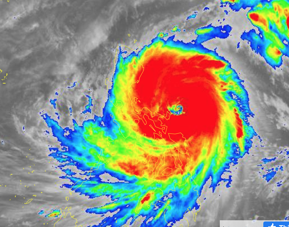
 - Ảnh 1.

Năm 2025 có khả năng trở thành năm nóng thứ 2 lịch sử sau năm 2024. Sự ấm lên toàn cầu là điều kiện sản sinh các hiện tượng thời tiết cực đoan và các cơn siêu bão xuất hiện dồn dập

Trong suốt 11 năm qua (từ 2015 – 2025) đều là những năm nóng nhất trong chuỗi dữ liệu ghi nhận suốt 176 năm qua. Đặc biệt, năm 2024 được ghi nhận là năm nóng nhất lịch sử. Nồng độ khí nhà kính giữ nhiệt và lượng nhiệt tích trữ trong đại dương đều đạt mức kỷ lục vào năm 2024 và tiếp tục tăng trong năm 2025. Diện tích băng biển Bắc Cực sau mùa đông thấp nhất trong lịch sử, tương tự diện tích băng biển Nam Cực thấp hơn mức trung bình trong suốt cả năm. Điều này khiến cho xu hướng mực nước biển dâng tiếp tục diễn ra.

Xu hướng ấm lên dẫn đến các hiện tượng khí hậu và thời tiết cực đoan như mưa lớn, lũ lụt tàn khốc ở chiều ngược lại là nắng nóng gay gắt và cháy rừng. Hệ quả góp phần gây ra tình trạng di dân ở nhiều khu vực, gây thiệt hại nặng nề cho các nền kinh tế, suy yếu sự phát triển bền vững và gây ra những tổn thương không thể khắc phục.

Ngay tại Việt Nam và Đông Nam Á, ngay trong những ngày đầu tháng 11, sau cơn bão rất mạnh hay còn gọi là “cơn bão chết chóc” Kalmaegi vừa tan thì siêu bão Fung wong lại xuất hiện trên vùng biển tây bắc Thái Bình Dương. Lý giải về sự xuất hiện dồn dập của các cơn siêu bão xuất hiện dày đặc hiện nay là do biến đổi khí hậu khiến nhiệt độ toàn cầu ấm lên. Nhiệt độ mặt nước biển ở cả tây bắc Thái Bình Dương và Biển Đông đều ấm lên một cách bất thường.

Trong khi đó, trên đất liền, ở các tỉnh miền Bắc nước ta những ngày qua xuất hiện tình trạng nồm ẩm. Các chuyên gia khí tượng xác nhận nồm ẩm xuất hiện vào đầu tháng 11 là bất thường vì hiện tượng này thường xảy ra vào cuối mùa đông đầu xuân (tháng 2 – 4). Nguyên nhân nồm ẩm sớm là do tác động của khối không khí lạnh suy yếu lệch đông, cộng thêm trường gió đông nam của khối không khí biển lấn vào mang theo hơi ẩm vào đất liền.

Khoa học đã chỉ rõ, con người cần phối hợp hành động để đưa nhiệt độ trở lại mức 1,5°C vào cuối thế kỷ này là cấp thiết và hoàn toàn có thể. Các yếu tố liên quan đến khí hậu đang định hình nguồn cung và cầu năng lượng tái tạo, tuy nhiên điều cần thiết và quan trọng là phải dự đoán những ảnh hưởng này để xây dựng các hệ thống năng lượng sạch đáng tin cậy và linh hoạt.

Nguồn: https://thanhnien.vn/khong-co-el-nino-nam-2025-van-nong-thu-2-lich-su-18525110921040637.htm

ThanhNien Logo

Hello Mình là Cải

Theo dõi
Thông báo của
0 Góp ý
Mới nhất
Cũ nhất Được bỏ phiếu nhiều nhất
Phản hồi nội tuyến
Xem tất cả bình luận

Tin Nóng Hôm Nay