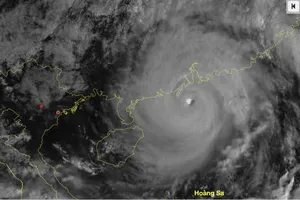
(PLO)- Lúc 15 giờ chiều nay, 24-9, cường độ bão số 9 (bão Ragasa) đã giảm còn cấp 14, giật cấp 17 và đang cách Móng Cái khoảng 470km về phía Đông.
Cập nhật từ Trung tâm Dự báo Khí tượng thuỷ văn quốc gia, lúc 15 giờ chiều nay, 24-9, cường độ bão số 9 (bão Ragasa) đã giảm còn cấp 14 (150-166km/h), giật cấp 17. Bão đang cách Móng Cái (Quảng Ninh) khoảng 470km về phía Đông.
Dự báo trong 3 giờ tới, bão số 9 di chuyển theo hướng Tây, tốc độ khoảng 20km/h.

Ông Hoàng Phúc Lâm, Phó Giám đốc Trung tâm Dự báo Khí tượng thuỷ văn quốc gia đã có những trao đổi cụ thể hơn về diễn biến, tác động của bão số 9 tới đất liền nước ta.
. Phóng viên: Dự báo diễn biến mới nhất về bão số 9 và tác động tới đất liền nước ta như thế nào, thưa ông?
+ Ông Hoàng Phúc Lâm: Trưa nay, bão Ragasa ở khu vực ven biển phía Nam tỉnh Quảng Đông (Trung Quốc). Bão đang gây mưa to, gió rất lớn cho khu vực này.
Dự báo trong 24 giờ tới, bão tiếp tục di chuyển ổn định theo hướng tây với tốc độ khoảng 20 km/h. Đến sáng mai, 25-9, tâm bão sẽ đi vào khu vực phía bắc vịnh Bắc Bộ.
Do ảnh hưởng của bão số 9, từ đêm nay, vùng biển vịnh Bắc Bộ có gió mạnh dần lên cấp 6-7, sau tăng lên cấp 8-9; gần tâm bão có thể cấp 10-11, giật cấp 13-14.
Trên đất liền, đặc biệt là tỉnh Quảng Ninh, từ ngày mai gió mạnh dần lên, có thể đạt cấp 8-9, giật cấp 10-11. Các tỉnh như Hải Phòng, Lạng Sơn, phía đông Bắc Ninh có gió mạnh cấp 7-8. Khu vực đồng bằng Bắc Bộ, trong đó có Hà Nội, có gió cấp 6.
Về mưa, từ đêm nay, Quảng Ninh, Lạng Sơn, Hải Phòng có mưa. Khu vực đồng bằng Bắc Bộ, trong đó có Hà Nội, từ trưa mai mưa tăng dần. Tổng lượng mưa dự báo phổ biến 100 – 250 mm, có nơi trên 400 mm. Đặc biệt, sườn đông dãy Hoàng Liên Sơn (thuộc Lào Cai, Yên Bái cũ) có mưa to đến rất to.
. Như vậy, thời điểm mà bão số 9 đổ bộ và trọng tâm gió mạnh và mưa lớn sẽ nằm ở khu vực nào, thưa ông?
+ Từ đêm nay đến sáng mai, trọng tâm ảnh hưởng của bão số 9 vẫn là Quảng Ninh và Hải Phòng. Đặc biệt lưu ý, Quảng Ninh sẽ chịu gió mạnh nhất, ven biển có thể đạt cấp 8-9.
Còn trọng tâm mưa lớn là toàn bộ khu vực Đông Bắc Bộ, đồng bằng Bắc Bộ; đặc biệt sườn đông dãy Hoàng Liên Sơn (Lào Cai, Yên Bái).
. Nhiều ý kiến cho rằng bão Ragasa (bão số 9) có điểm tương đồng với bão Yagi (bão số 9 năm 2024), ông có thể so sánh hai cơn bão này?
+ Đúng là có hai điểm tương đồng lớn. Đó là cả hai cơn bão đều đạt cấp siêu bão, là những cơn bão mạnh nhất trên Biển Đông trong nhiều năm gần đây và khu vực ảnh hưởng trực tiếp đều là Quảng Ninh và Hải Phòng.
Tuy nhiên, cũng có nhiều điểm khác biệt: nơi hình thành, hướng di chuyển, tốc độ di chuyển, thời điểm đạt cường độ mạnh nhất, cũng như thời điểm tác động. Bão Yagi diễn ra đầu tháng 9, còn Ragasa cuối tháng 9.
. Hiện nay có thông tin về bão số 10 cũng có khả năng ảnh hưởng tới Việt Nam, cụ thể thế nào, thưa ông?
+ Ngoài khơi phía đông Philippines đã hình thành một cơn bão mới – bão số 20 trên Tây Bắc Thái Bình Dương. Trong vòng 2 ngày tới, bão dự kiến đi vào Biển Đông và nhiều khả năng trở thành bão số 10.
Hiện bão đạt cấp 8, cấu trúc còn yếu. Các dự báo quốc tế về quỹ đạo và cường độ còn khá phân tán, chưa thống nhất. Khi bão mạnh lên, cấu trúc ổn định, các dự báo sẽ chính xác hơn. Trung tâm sẽ tiếp tục giám sát, cập nhật trong 1-2 ngày tới.
Về cường độ, khả năng bão số 10 sẽ không mạnh bằng Ragasa. Tuy nhiên, mức độ tác động đến Việt Nam còn phụ thuộc vào diễn biến trong thời gian tới. Không loại trừ khả năng bão số 10 có thể gây ảnh hưởng lớn, thậm chí tương đương hoặc mạnh hơn Ragasa.
. Xin cảm ơn ông!
Nguồn: https://plo.vn/tu-dem-nay-bao-so-9-gay-mua-o-nhieu-tinh-mien-bac-post872045.html

