(PLO)- Dự báo tối và đêm nay, 28-9, là thời điểm gió mạnh nhất của bão số 10, khu vực gió mạnh nhất là Thanh Hóa tới phía Bắc Quảng Trị.
Chiều 28-9, Trung tâm Dự báo Khí tượng thuỷ văn Quốc gia có thông tin về diễn biến và tác động của cơn bão số 10 (bão Bualoi).
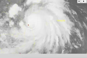
Ông Hoàng Phúc Lâm, Phó Giám đốc Trung tâm cho biết hồi 13 giờ, vị trí tâm bão ở vào khoảng 17,1 độ Vĩ Bắc; 108,3 độ Kinh Đông, trên vùng biển Quảng Trị – TP Đà Nẵng, cách TP Huế khoảng 90 km về phía Đông Đông Bắc, cách Bắc Quảng Trị khoảng 190 km về phía Nam Đông Nam.
Sức gió mạnh nhất vùng gần tâm bão mạnh cấp 12 (118-133 km/giờ), giật cấp 15. Bão di chuyển theo hướng Tây Tây Bắc với tốc độ khoảng 25 km/giờ.

Do ảnh hưởng của bão số 10, tại trạm Lý Sơn (Quảng Ngãi) đã có gió mạnh cấp 7, giật cấp 8; trạm Bắc Trạch (Quảng Trị) có gió mạnh cấp 8, giật cấp 10; trạm Hoành Sơn (Hà Tĩnh) có gió mạnh cấp 6, giật cấp 9; trạm Văn Lý (Ninh Bình) có gió mạnh cấp 7, giật cấp 9; trạm Hòn Ngư (Nghệ An) có gió mạnh cấp 6, giật cấp 8; trạm Cồn Cỏ (Quảng Trị) có gió mạnh cấp 7, giật cấp 10; trạm Bạch Long Vĩ có gió mạnh cấp 7, giật cấp 9…
Ông Lâm cho biết, nhìn vào hình dự báo quỹ đạo, vị trí và cường độ bão số 10, khoảng 1 giờ sáng tâm bão sẽ chạm bờ. Do vùng ảnh hưởng mạnh nhất về gió và mưa ở cách tâm bão vài trăm km nên từ tối cho đến hết đêm, cụ thể là khoảng 4-5 giờ sáng 29-9 được xác định thời gian cao điểm của gió và mưa, cũng là giai đoạn nguy hiểm nhất.
Theo đó, các địa phương chịu ảnh hưởng của bão số 10 sẽ theo thứ tự từ Nam ra Bắc cùng với quá trình đi lên phía Bắc của cơn bão. Hiện giờ là các tỉnh Quảng Trị – Đà Nẵng. Chiều tối nay sẽ mở rộng ra Hà Tĩnh, Nghệ An, Thanh Hóa. Từ nửa đêm về sáng là các tỉnh đồng bằng Bắc Bộ. Sau đó là các tỉnh trung du, vùng núi phía Bắc. Với các tỉnh Trung du, vùng núi phía Bắc chủ yếu sẽ ảnh hưởng về mưa lớn, gió sẽ không mạnh.
Trong cơn bão số 10, rủi ro thiên tai cấp 4 được xác định dựa trên khả năng xảy ra gió mạnh cấp 10-12 ở vùng ven bờ các tỉnh Thanh Hóa – Bắc Quảng Trị cùng với nguy cơ xảy ra mưa rất lớn với lượng mưa trên 200 mm/3 giờ.
Các địa phương cần lưu ý với gió mạnh tới cấp 10-12, có thể khiến cây cối bị đổ hàng loạt, nhà cửa – đặc biệt là nhà không kiên cố – có thể bị tốc mái, gãy đổ cột điện… gây thiệt hại lớn. Mưa cường độ lớn có thể gây ra ngập úng đô thị, ngập các tuyến đường giao thông ở khu vực trũng, thấp, lũ quét và sạt lở đất ở vùng núi…
Tối và đêm 28-9 là thời điểm gió mạnh nhất. Khu vực có gió mạnh nhất là Thanh Hóa tới phía bắc Quảng Trị. Mưa lớn diện rộng cho Bắc Bộ và Bắc Trung Bộ.
Cảnh báo mưa lũ ngập lụt
Trong 24 giờ qua (từ 13 giờ ngày 27-9 đến 13 giờ ngày 28-9), khu vực các tỉnh từ Thanh Hóa đến Quảng Ngãi đã có mưa vừa, mưa to, có nơi mưa rất to. Đơn cử như: Cẩm Lương 62,6 mm (Thanh Hóa); Yên Thượng 110,2 mm (Nghệ An); Hương Vĩnh 173 mm (Hà Tĩnh); Tà Rụt 275 mm (Quảng Trị); Hương Nguyên 490,4 mm (TP Huế); Quế Phước 206 mm (TP Đà Nẵng); Bình Khương 114,8 mm (Quảng Ngãi);..
Dự báo trong 3-6 giờ tới, khu vực các tỉnh trên tiếp tục có mưa với lượng mưa tích lũy phổ biến như sau: từ Thanh Hóa đến Quảng Trị từ 50-90 mm, có nơi trên 100 mm; TP Huế từ 30-50 mm, có nơi trên 80 mm; từ TP Đà Nẵng đến Quảng Ngãi từ 10-30 mm, có nơi trên 50 mm.
Trong 6 giờ tới, nguy cơ xảy ra lũ quét trên các sông, suối nhỏ, sạt lở đất trên sườn dốc. Cảnh báo cấp độ rủi ro thiên tai do lũ quét, sạt lở đất, sụt lún đất do mưa lũ hoặc dòng chảy cấp 1, TP Huế cấp 2.
Lũ quét, sạt lở đất có thể gây tác động rất xấu đến môi trường, uy hiếp tính mạng của người dân; gây tắc nghẽn giao thông cục bộ, làm ảnh hưởng tới quá trình di chuyển của các phương tiện; phá hủy các công trình dân sinh, kinh tế gây thiệt hại cho các hoạt động sản xuất, hoạt động kinh tế – xã hội.
Nguồn: https://plo.vn/khan-cap-toi-nay-thanh-hoa-bac-quang-tri-se-chiu-gio-manh-nhat-cua-bao-so-10-post872732.html

